- Home
- Bees, Wasps, Ants
- Gall-wasps and Parasitoid wasps (Cynipoidea)
All images on this website have been taken in Leicestershire and Rutland by NatureSpot members. We welcome new contributions - just register and use the Submit Records form to post your photos. Click on any image below to visit the species page. The RED / AMBER / GREEN dots indicate how easy it is to identify the species - see our Identification Difficulty page for more information. A coloured rating followed by an exclamation mark denotes that different ID difficulties apply to either males and females or to the larvae - see the species page for more detail.
Bees, Wasps, Ants
Gall-wasps and Parasitoid wasps (Cynipoidea)
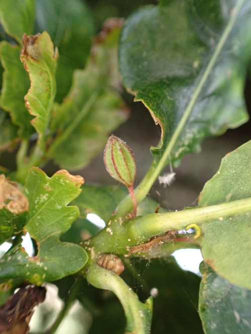
Cynipidae - Gall wasps
Nearly all wasp galls in the UK are caused by wasps in the family Cynipidae, and most are on Oak, with a few on Rose and a few on other herbaceous species. Life-cycles increase in complexity from the galls on Bramble (Diastrophus) and herbaceous species (e.g. Aulacidea, Phanacis, Liposthenes), to more complex Diplolepis, which gall roses, to the Oak gall wasps (e.g. Andricus, Cynips, Neuroterus) with the most complex life-cycles.
Oak cynipid wasps have alternating sexual/asexual generations, or ‘cyclical parthenogenesis’. Typically, the gall formed by the females of the sexual generation appears in spring/early summer, and is on a different part of the oak to the later asexual (or agamic) generation. In many species, the sexual galls are recorded less often than the asexual galls, which are often larger and persist longer. (An example of an exception to this is the oak-apple, Biorhiza pallida, which is the sexual gall). Often the 2 types of gall are a very different shape, and originally some were thought to be different species; in some species, the sexual gall has not been found. Some introduced species form sexual galls on the non-native Turkey oak and asexual galls on native oaks – e.g. Andricus kollari.
The first generation sexual gall is produced in spring by an asexual female that lays eggs parthenogenetically, without them being fertilised by a male. The females are of two kinds; those that lay eggs which produce male wasps, and those that produce females. From this gall, the second generation of sexual wasps emerges, both male and female; these mate, and the females then produce the asexual galls later in the year.
- Marble Gall collected 30th Aug 2013
wasp emerged 14th Sep 2013

















































