Andricus inflator f. agamic
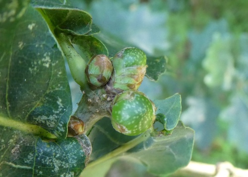
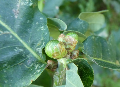
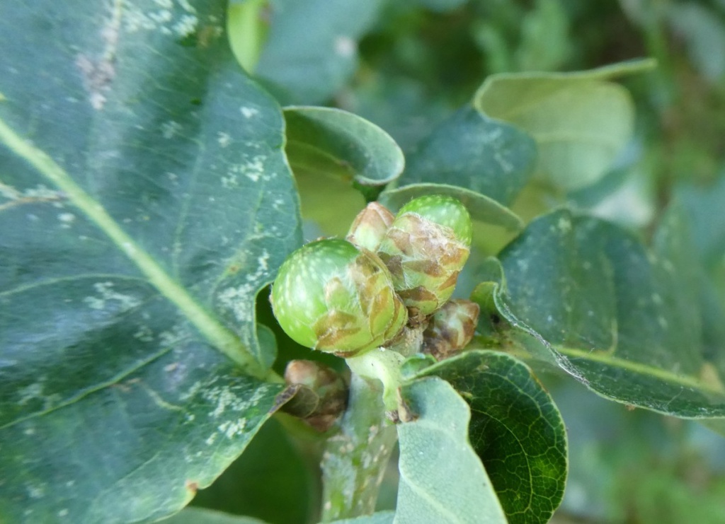
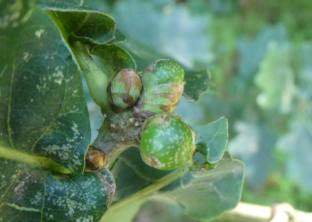
Agamic galls are formed in buds and are green, smooth and rounded with a small point. They are quite large at up to 6mm diameter. Bud scales are present at the base of the gall, but eventually may fall off. Eventually the galls drop out of the bud, leaving a scar surrounded by the remains of the scales.
Similar galls in oak buds are formed by other Andricus species
Photograph the gall on oak, and note the host species
native oaks
Locally common (British Plant Galls, Redfern & Shirley, 2023)
occasional; possibly under-recorded
British Plant Galls (Redfern & Shirley, 2023)
Leicestershire & Rutland Map
Enter a town or village to see local records
MAP KEY:
Yellow squares = NBN records (all known data)
Coloured circles = NatureSpot records: 2025+ | 2020-2024 | pre-2020
UK Map
Species profile
- Common names
- Globular Gall Causer
- Species group:
- insect - hymenopteran
- Kingdom:
- Animalia
- Order:
- Hymenoptera
- Family:
- Cynipidae
- Records on NatureSpot:
- 8
- First record:
- 12/09/2019 (Smith, Ann)
- Last record:
- 05/09/2025 (Bell, Melinda)
Total records by month
% of records within its species group
10km squares with records
The latest images and records displayed below include those awaiting verification checks so we cannot guarantee that every identification is correct. Once accepted, the record displays a green tick.
In the Latest Records section, click on the header to sort A-Z, and again to sort Z-A. Use the header boxes to filter the list.











