Andricus glandulae f. agamic
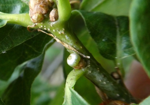
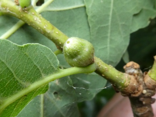
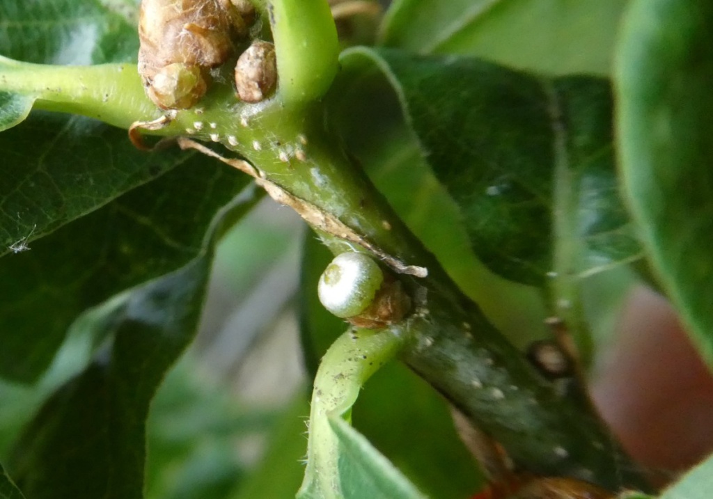
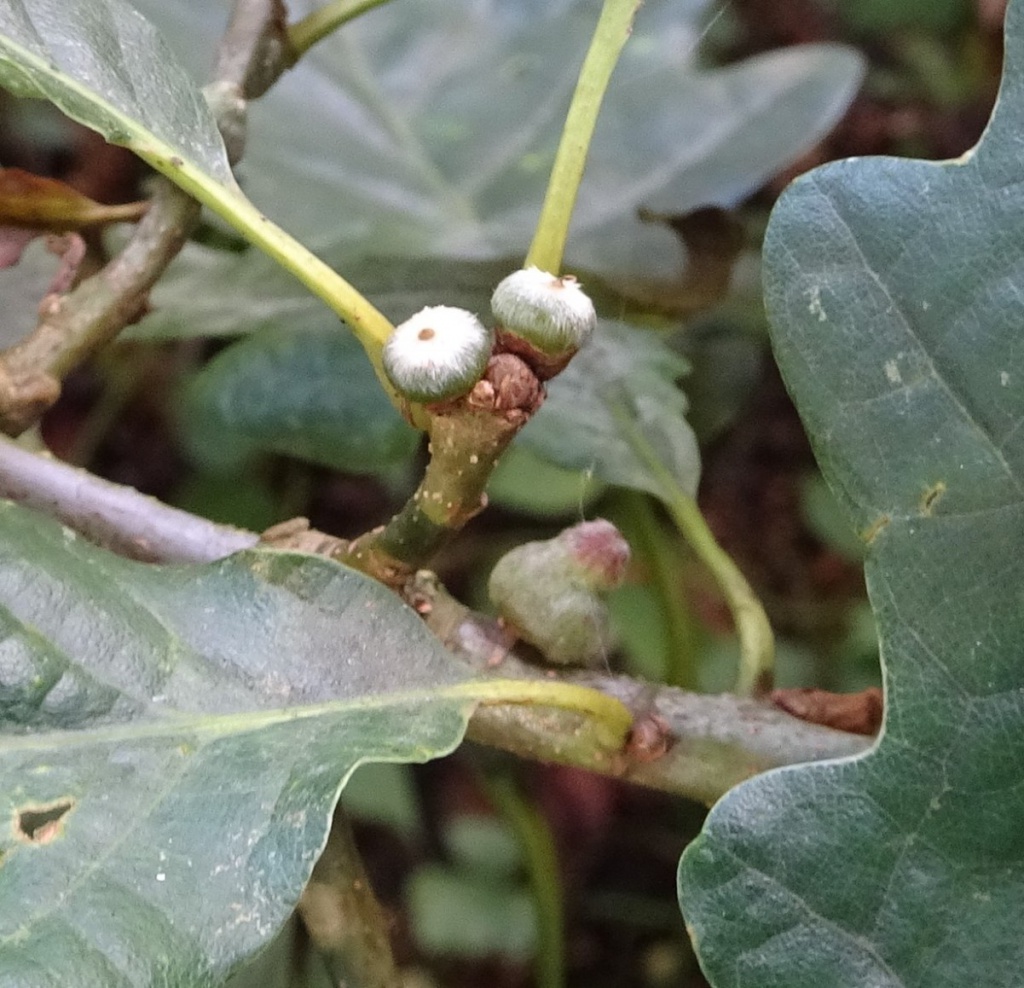
The agamic (asexual) generation causes galls in the axillary leaf bud of various Oak species. The pear-shaped gall is about half a centimetre high and covered in silky white adpressed hairs that point downwards. Inside the tip is an inner gall containing the larval chamber. It is mainly seen on young shoots.
In the BPGS key (Redfern & Shirley) the gall is described as generally reddish, or purple, and the hairs may be violet coloured. All galls photographed in VC55 so far are green with white hairs.
[Note: The sexual generation forms galls on catkins, and is rarely recorded.]
Several other gall-wasps form galls in oak buds and catlkins.
Photograph the gall on oak, and note the host species
native oak trees. In VC55 it seems to be associated with old woodlands
Locally common (British Plant Galls, Redfern & Shirley, 2023)
probably under-recorded, but may be quite common locally
See British Plant Galls (Redfern & Shirley, 2023)
Leicestershire & Rutland Map
Enter a town or village to see local records
MAP KEY:
Yellow squares = NBN records (all known data)
Coloured circles = NatureSpot records: 2025+ | 2020-2024 | pre-2020
UK Map
Species profile
- Common names
- Thatched Gall Causer
- Species group:
- insect - hymenopteran
- Kingdom:
- Animalia
- Order:
- Hymenoptera
- Family:
- Cynipidae
- Records on NatureSpot:
- 8
- First record:
- 12/09/2019 (Smith, Ann)
- Last record:
- 24/09/2025 (Bell, Melinda)
Total records by month
% of records within its species group
10km squares with records
The latest images and records displayed below include those awaiting verification checks so we cannot guarantee that every identification is correct. Once accepted, the record displays a green tick.
In the Latest Records section, click on the header to sort A-Z, and again to sort Z-A. Use the header boxes to filter the list.
















