Andricus grossulariae f. agamic
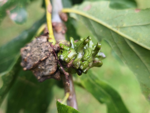
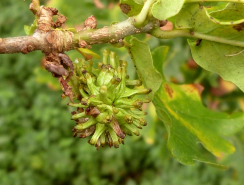
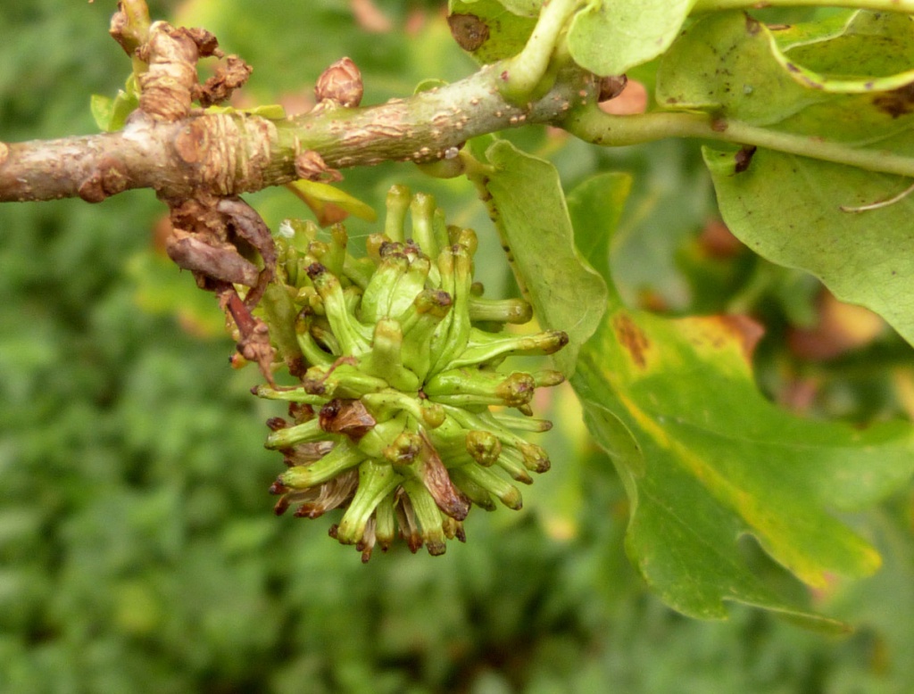
The asexual galls are formed on the buds, catkins or acorn cups of native oaks. The galls have radiating blunt spines, green and sticky at first, then turning red and finally brown. They are multi-chambered, and up to 3cm in diameter on terminal or lateral buds, smaller when formed on catkins and acorn cups. Later on in the year, fallen galls may be found on the ground beneath oaks.
Andricus quercuscalicis (the Knopper Gall) forms similar asexual galls on acorn cups, but with a single larval chamber in inner gall. Andricus lucidus, the Hedgehog Gall, is similar, but (as of autumn 2024) there are no confirmed records for these galls in VC55
Photograph the gall on oak, and note the host species
Native oaks
First recorded in Berkshire in 2000; spreading northwards (British Plant Galls, Redfern & Shirley, 2023)
occasional
See British Plant Galls (Redfern & Shirley, 2023)
Leicestershire & Rutland Map
Enter a town or village to see local records
MAP KEY:
Yellow squares = NBN records (all known data)
Coloured circles = NatureSpot records: 2025+ | 2020-2024 | pre-2020
UK Map
Species profile
- Species group:
- insect - hymenopteran
- Kingdom:
- Animalia
- Order:
- Hymenoptera
- Family:
- Cynipidae
- Records on NatureSpot:
- 15
- First record:
- 27/08/2014 (Calow, Graham)
- Last record:
- 02/10/2025 (Smith, Peter)
Total records by month
% of records within its species group
10km squares with records
The latest images and records displayed below include those awaiting verification checks so we cannot guarantee that every identification is correct. Once accepted, the record displays a green tick.
In the Latest Records section, click on the header to sort A-Z, and again to sort Z-A. Use the header boxes to filter the list.












