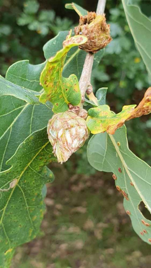
Artichoke Gall - Andricus foecundatrix f. agamic
The agamic (asexual) galls are large artichoke galls formed in oak buds - much enlarged (up to 30mm long) and covered with overlapping bud scales. There is a cavity inside containing the the inner gall which is ejected in late summer, leaving the old galls to persist with the bud scales opened out and brown.
[Note: The sexual generation of galls are in the catkins and are small and covered in long white hairs.]
Photograph the gall on oak, and note the host species
native oak trees
common
See British Plant Galls (Redfern & Shirley, 2023)
Leicestershire & Rutland Map
Enter a town or village to see local records
MAP KEY:
Yellow squares = NBN records (all known data)
Coloured circles = NatureSpot records: 2025+ | 2020-2024 | pre-2020
UK Map
Species profile
- Common names
- Artichoke Gall Causer
- Species group:
- Bees, Wasps, Ants
- Kingdom:
- Animalia
- Order:
- Hymenoptera
- Family:
- Cynipidae
- Records on NatureSpot:
- 219
- First record:
- 03/09/2010 (Calow, Graham)
- Last record:
- 18/10/2025 (Graves, Hazel)
Total records by month
% of records within its species group
10km squares with records
The latest images and records displayed below include those awaiting verification checks so we cannot guarantee that every identification is correct. Once accepted, the record displays a green tick.
In the Latest Records section, click on the header to sort A-Z, and again to sort Z-A. Use the header boxes to filter the list.








