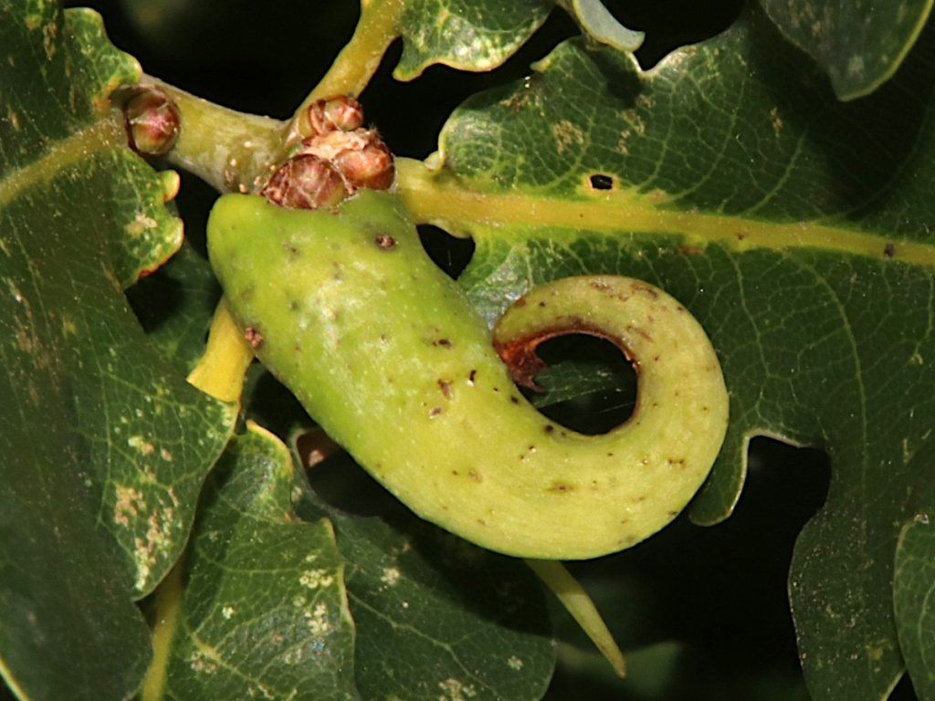
Ramshorn Gall - Andricus aries f. agamic
The asexual gall produced by this wasp in the buds of native Quercus species is said to resemble the horns of a Ram in its shape. The gall commonly forms a 'chimera' with another gall-causing species, causing oddly-shaped galls, and the presence of the inquiline wasps Synergus spp can also change the shape of the gall, causing enlargement of the bulbous base.
[Note: The sexual gall is reported to be on the catkins of evergreen or Turkey Oak; we are not aware of any descriptions of this gall or of its occurrence in the UK.]
Photograph the gall on oak, and note the host species
Oak tree
Unknown in England until its appearance in Berkshire in 1997, it is becoming more common and extending its range.
fairly common
See British Plant Galls (Redfern & Shirley, 2023)
Leicestershire & Rutland Map
Enter a town or village to see local records
MAP KEY:
Yellow squares = NBN records (all known data)
Coloured circles = NatureSpot records: 2025+ | 2020-2024 | pre-2020
UK Map
Species profile
- Common names
- Ramshorn Gall Causer
- Species group:
- Bees, Wasps, Ants
- Kingdom:
- Animalia
- Order:
- Hymenoptera
- Family:
- Cynipidae
- Records on NatureSpot:
- 98
- First record:
- 01/07/2009 (Calow, Graham)
- Last record:
- 04/02/2026 (Graves, Hazel)
Total records by month
% of records within its species group
10km squares with records
The latest images and records displayed below include those awaiting verification checks so we cannot guarantee that every identification is correct. Once accepted, the record displays a green tick.
In the Latest Records section, click on the header to sort A-Z, and again to sort Z-A. Use the header boxes to filter the list.









