Andricus callidoma
The larvae of the gall wasp Andricus callidoma cause galls to form on Oak.
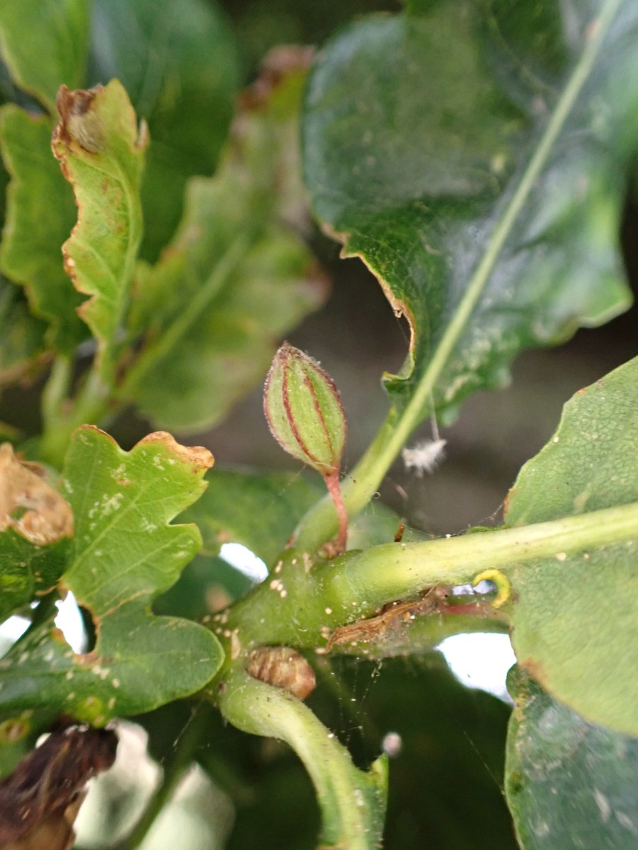
The asexual gall emerges from an unopened bud. The stalk is 3 to 5 mm long and can be much longer, the gall itself is approximately 2 x 4 mm with a pointed tip.
The sexual gall is on oak catkins, and forms a ball c.5mm wide of white cottonwool-like hairs.
Andricus malpighii casuses very similar asexual galls, and the adults may need to be bred from the gall to identify.
Where Oak (the host species) is present.
May to September.
Uncommon and little recorded in Britain.
Uncommon in Leicestershire and Rutland.
Leicestershire & Rutland Map
Enter a town or village to see local records
MAP KEY:
Yellow squares = NBN records (all known data)
Coloured circles = NatureSpot records: 2025+ | 2020-2024 | pre-2020
UK Map
Species profile
- Species group:
- insect - hymenopteran
- Kingdom:
- Animalia
- Order:
- Hymenoptera
- Family:
- Cynipidae
- Records on NatureSpot:
- 4
- First record:
- 04/09/2016 (Grimes, Martin)
- Last record:
- 30/07/2025 (Smith, Peter)
Total records by month
% of records within its species group
10km squares with records
The latest images and records displayed below include those awaiting verification checks so we cannot guarantee that every identification is correct. Once accepted, the record displays a green tick.
In the Latest Records section, click on the header to sort A-Z, and again to sort Z-A. Use the header boxes to filter the list.

