Knopper Gall - Andricus quercuscalicis f. agamic
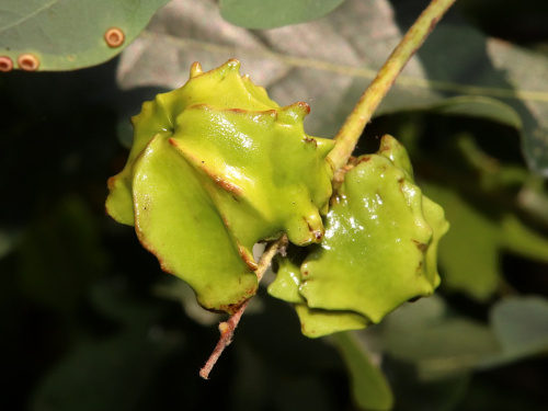
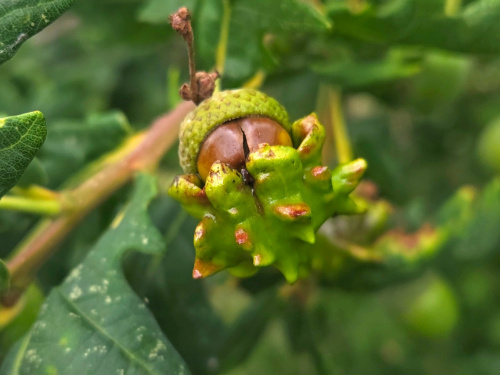
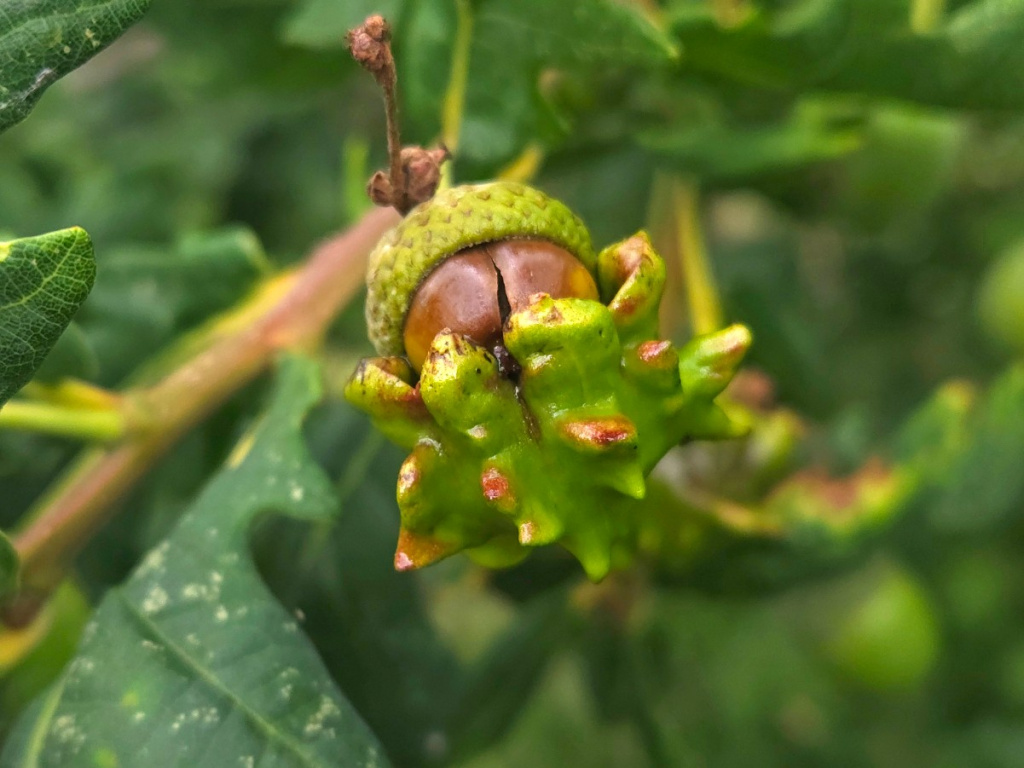
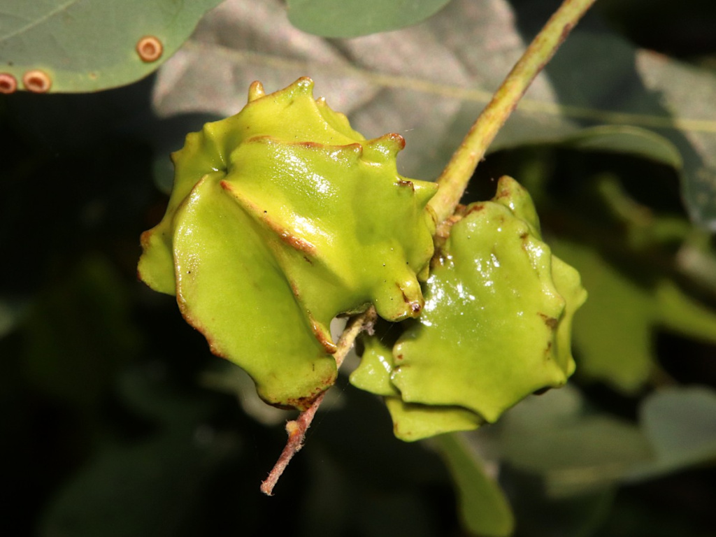
Knopper galls are a mass of ridged tissue formed on acorn cups, with a large central cavity and small inner gall. Multiple galls can form on one acorn. They are green and sticky at first, then reddish and becoming brown and woody. Eventually they fall and can be found carpeting the ground under oaks.
[Note: the sexual galls are found on Turkey Oak catkins]
Andricus grossulariae has similar asexual galls on oak acorn cups; young knopper galls may be mistaken for these. If in doubt, check the numbers of chambers inside
Photograph the gall on oak, and note the host species
English Oak Quercus robur, and the hybrid Q x rosacea (according to Redfern & Shirley 2023, they are very rare on Sessile Oak Q petraea)
very common (British Plant Galls, Redfern & Shirley, 2023). A fairly recent introduction to the British Isles, first arriving in the 1960s and now found throughout England, Wales and as far north as Scotland.
very common
See British Plant Galls (Redfern & Shirley, 2023)
Leicestershire & Rutland Map
Enter a town or village to see local records
MAP KEY:
Yellow squares = NBN records (all known data)
Coloured circles = NatureSpot records: 2025+ | 2020-2024 | pre-2020
UK Map
Species profile
- Common names
- Knopper Gall Causer
- Species group:
- insect - hymenopteran
- Kingdom:
- Animalia
- Order:
- Hymenoptera
- Family:
- Cynipidae
- Records on NatureSpot:
- 61
- First record:
- 01/09/2012 (Nicholls, David)
- Last record:
- 13/10/2025 (Nicholas Humphreys)
Total records by month
% of records within its species group
10km squares with records
The latest images and records displayed below include those awaiting verification checks so we cannot guarantee that every identification is correct. Once accepted, the record displays a green tick.
In the Latest Records section, click on the header to sort A-Z, and again to sort Z-A. Use the header boxes to filter the list.










