Smooth Spangle Gall - Neuroterus albipes f. agamic
Neuroterus albipes is a gall wasp that has two generations per year.
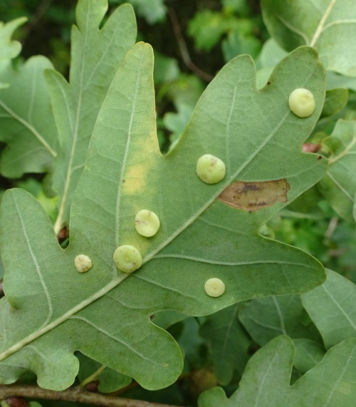
The agamic (asexual) galls are found on the underside of Oak leaves and are thin and flat in shape, hairless with a slightly raised rim, measuring up to 5mm across. The colour is generally cream or pale green, sometimes with a pinky-red rim or blotches. They are rarely found in large numbers on a single leaf.
Provide photographs of the gall on the host plant, and note the host species.
On the leaves of deciduous oaks.
Mature galls fall from the leaves in autumn and the adult insects emerge in early spring. The sexual generation then form tiny egg-shaped galls between leaf nodes.
Common.
See British Plant Galls (Redfern & Shirley, 2023)
Leicestershire & Rutland Map
Enter a town or village to see local records
MAP KEY:
Yellow squares = NBN records (all known data)
Coloured circles = NatureSpot records: 2025+ | 2020-2024 | pre-2020
UK Map
Species profile
- Common names
- Smooth-spangle Causer, Smooth Spangle Gall Causer
- Species group:
- insect - hymenopteran
- Kingdom:
- Animalia
- Order:
- Hymenoptera
- Family:
- Cynipidae
- Records on NatureSpot:
- 109
- First record:
- 09/09/2011 (Gould, David)
- Last record:
- 16/10/2025 (Smith, Peter)
Total records by month
% of records within its species group
10km squares with records
The latest images and records displayed below include those awaiting verification checks so we cannot guarantee that every identification is correct. Once accepted, the record displays a green tick.
In the Latest Records section, click on the header to sort A-Z, and again to sort Z-A. Use the header boxes to filter the list.











