Willow Gall Sawfly - Euura pedunculi
Eupontania pedunculi
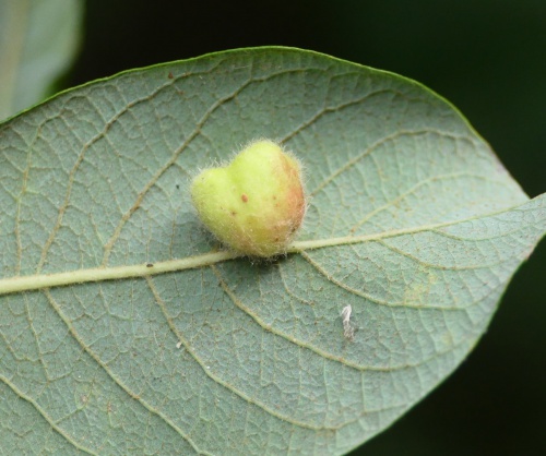
Euura pedunculi is a sawfly that causes a gall on certain species of Willow: Salix capraea (Goat Willow), Salix cinerea (Grey Willow) and Salix aurita (Eared Willow). The gall is commonly seen but the adult sawfly rarely so. The gall is generally pea-shaped, starting green but becoming red as it matures. It is hairy (sometimes very hairy, or sparsely so) and only found on the underside of the leaf; there may be a slight mark on the upperside.
Several other sawfly species form bean galls on sallows and willows, but these protrude from both sides of the leaf. The gall-midge Iteomyia major forms galls on sallows, but is associated with the midrib and usually in a group of several coalesced galls
- gall found on Salix capraea (Goat Willow), Salix cinerea (Grey Willow) or Salix aurita (Eared Willow)
- gall is pea-shaped and hairy
- gall is on the underside of the leaf
If recording a gall, it is essential to say which tree species it was on, and provide photos of host plant leaf as well as gall.
Hedgerows and damp places where the host Willow trees are present.
Adult May - August
Fairly common in England.
Fairly common in Leicestershire and Rutland.
Leicestershire & Rutland Map
Enter a town or village to see local records
MAP KEY:
Yellow squares = NBN records (all known data)
Coloured circles = NatureSpot records: 2025+ | 2020-2024 | pre-2020
UK Map
Species profile
- Species group:
- insect - hymenopteran
- Kingdom:
- Animalia
- Order:
- Hymenoptera
- Family:
- Tenthredinidae
- Records on NatureSpot:
- 58
- First record:
- 04/07/2009 (Calow, Graham)
- Last record:
- 26/11/2025 (Hollingworth, Jane)
Total records by month
% of records within its species group
10km squares with records
The latest images and records displayed below include those awaiting verification checks so we cannot guarantee that every identification is correct. Once accepted, the record displays a green tick.
In the Latest Records section, click on the header to sort A-Z, and again to sort Z-A. Use the header boxes to filter the list.













