Tytthus pygmaeus

Description

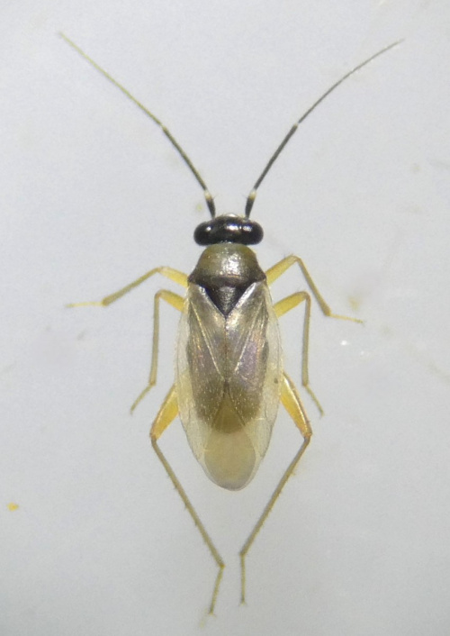
2.6 to 3 mm; Ant1 dark with apex pale; pronotum with variable amounts of black; pubescence of short pale hairs. Fore-wings pale greenish yellow, legs yellow. 

Identification difficulty
Recording advice

Photos showing key features required. 

Habitat

Associated with damp marshy habitats.

When to see it

July to September.

Life History

Feeds on the eggs of leafhoppers.

UK Status

Widely distributed. 

VC55 Status

Rarely recorded in Leicestershire and Rutland.

Leicestershire & Rutland Map

MAP KEY:

Yellow squares = NBN records (all known data)
Coloured circles = NatureSpot records: 2025+ | 2020-2024 | pre-2020

UK Map

Species profile

Species group:
insect - true bug (Hemiptera)
Kingdom:
Animalia
Order:
Hemiptera
Family:
Miridae
Records on NatureSpot:
2
First record:
24/08/2021 (Cann, Alan)
Last record:
17/07/2024 (Timms, Sue)

Total records by month

% of records within its species group

10km squares with records

The latest images and records displayed below include those awaiting verification checks so we cannot guarantee that every identification is correct. Once accepted, the record displays a green tick.

In the Latest Records section, click on the header to sort A-Z, and again to sort Z-A. Use the header boxes to filter the list.

Latest images

Latest records