Trichopalpus fraternus
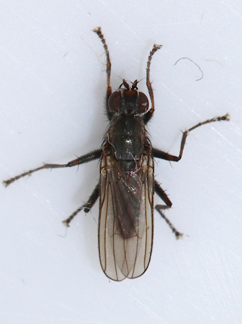
A small greyish species. The femora are dark with yellow at the base and tip. Thorax and abdomen are densely grey-dusted. The front of the frons and sides of the face have a reddish ground colour. The palps are small and brown. It has distinct propleural and stigmatical bristles above the front coxa.
- Chaetosa punctipes - similar but has pale legs
- Spaziphora hydromyzina - larger, paler, and more elongate
Detailed photos required.
Swampy margins of water bodies, ditches and slow-flowing-rivers and streams, long damp grassland.
April to September, peaking in June and July.
Widespread
Rarely recorded.
Leicestershire & Rutland Map
Enter a town or village to see local records
MAP KEY:
Yellow squares = NBN records (all known data)
Coloured circles = NatureSpot records: 2025+ | 2020-2024 | pre-2020
UK Map
Species profile
- Species group:
- insect - true fly (Diptera)
- Kingdom:
- Animalia
- Order:
- Diptera
- Family:
- Scathophagidae
- Records on NatureSpot:
- 4
- First record:
- 18/05/2023 (Higgott, Mike)
- Last record:
- 07/10/2025 (Calow, Graham)
Total records by month
% of records within its species group
10km squares with records
The latest images and records displayed below include those awaiting verification checks so we cannot guarantee that every identification is correct. Once accepted, the record displays a green tick.
In the Latest Records section, click on the header to sort A-Z, and again to sort Z-A. Use the header boxes to filter the list.




