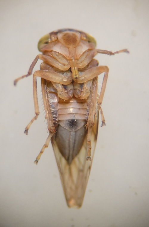
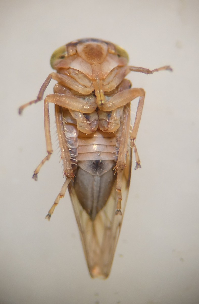
Tremulicerus tremulae
Length 5 to 6 mm. A pale leafhopper with a prominent transverse dark band on the forewings, associated with Aspen or White Poplar. Males have a pale face; females have chestnut brown above the ocelli. Forewing veins are dark towards the wing apex, and there is usually one or more pale longitudinal marks on the pronotum.
Other Idiocerinae asspociated with poplars
Close examination of a specimen is needed. Provide photographs taken from top, side and face; and note the host plant.
On Aspen or White Poplar.
July to November.
Local (ref.: UK Auchenorrhyncha checklist 2021)
Rarely recorded
Leicestershire & Rutland Map
Enter a town or village to see local records
MAP KEY:
Yellow squares = NBN records (all known data)
Coloured circles = NatureSpot records: 2025+ | 2020-2024 | pre-2020
UK Map
Species profile
- Species group:
- Bugs
- Kingdom:
- Animalia
- Order:
- Hemiptera
- Family:
- Cicadellidae
- Records on NatureSpot:
- 4
- First record:
- 19/08/2018 (Calow, Graham)
- Last record:
- 17/08/2024 (Smith, Peter)
Total records by month
% of records within its species group
10km squares with records
The latest images and records displayed below include those awaiting verification checks so we cannot guarantee that every identification is correct. Once accepted, the record displays a green tick.
In the Latest Records section, click on the header to sort A-Z, and again to sort Z-A. Use the header boxes to filter the list.









