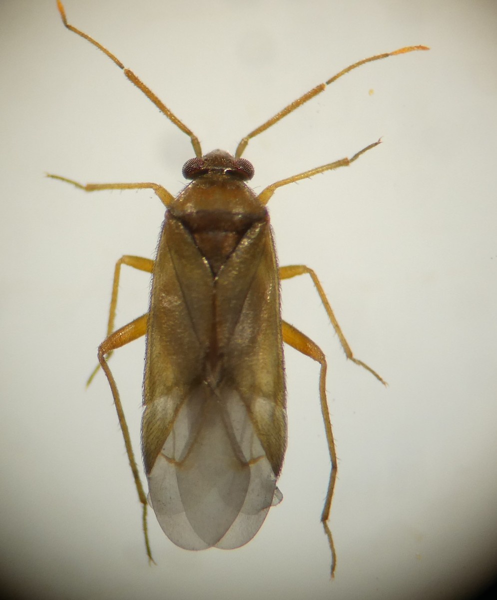
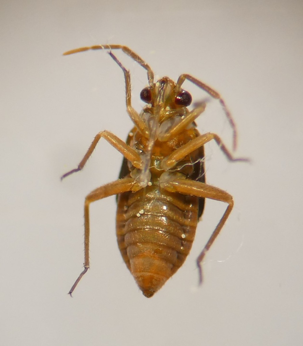
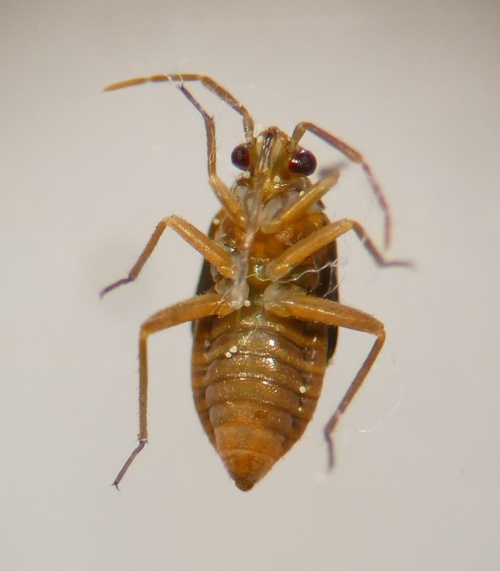
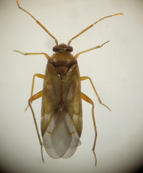
Plesiodema pinetella

Description

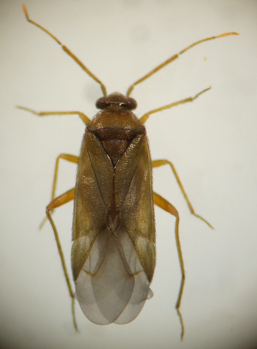
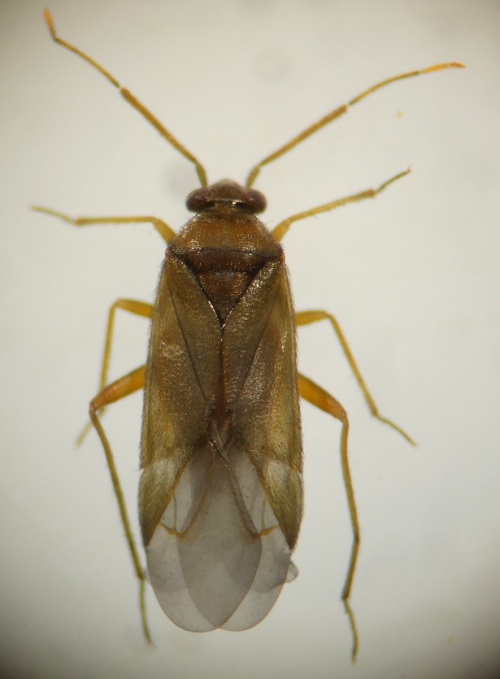
A small (length around 3 mm) dark bug which lacks pale hairs on the upper surface. The foreparts are often darker than the corium and the base of the cuneus is pale. The tibial spines are shorter than the width of the tibiae and are not set in black spots.

Identification difficulty
Recording advice

Unless identified by a recognised expert, a photo is required and the specimen should be examined in detail. In the comments box, state the key or ID method used and describe the size and identifying characters.

Habitat

Associated with Scots Pine.

When to see it

Adult: June to August.

UK Status

Locally common across the much of the UK.

VC55 Status

Status in Leicestershire and Rutland not known.

Leicestershire & Rutland Map

MAP KEY:

Yellow squares = NBN records (all known data)
Coloured circles = NatureSpot records: 2025+ | 2020-2024 | pre-2020

UK Map

Species profile

Species group:
insect - true bug (Hemiptera)
Kingdom:
Animalia
Order:
Hemiptera
Family:
Miridae
Records on NatureSpot:
4
First record:
04/06/2019 (Timms, Sue)
Last record:
25/05/2024 (Cann, Alan)

Total records by month

% of records within its species group

10km squares with records

The latest images and records displayed below include those awaiting verification checks so we cannot guarantee that every identification is correct. Once accepted, the record displays a green tick.

In the Latest Records section, click on the header to sort A-Z, and again to sort Z-A. Use the header boxes to filter the list.

Latest images

Latest records