Phyllonorycter oxyacanthae
Common Thorn Midget
Wingspan 6 to 8 mm. Some more northern examples have rather more blackish suffusion in the wing. Best identified from the similar P. sorbi and P. mespilella by recording as a leafmine and noting the larval foodplant - usually Hawthorn (and occasionally Pear or Quince)..
Various habitats particularly those where Hawthorn is plentiful.
In common with other species, there are two generations, producing adults in May and in August.
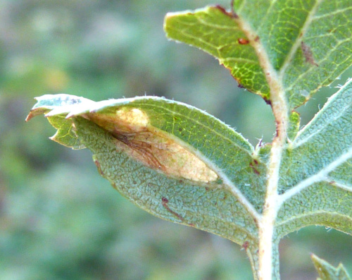
The larval mine is a blotch on the underside of a leaf, often causing the edges of a lobe to curl under.
Widespread and fairly frequent in most areas of Britain. In the Butterfly Conservation's Microlepidoptera Report 2011 this species was classified as common.
Occasional in Leicestershire and Rutland. L&R Moth Group status = C (very scarce resident or rare migrant).
Leicestershire & Rutland Map
Enter a town or village to see local records
MAP KEY:
Yellow squares = NBN records (all known data)
Coloured circles = NatureSpot records: 2025+ | 2020-2024 | pre-2020
UK Map
Species profile
- Common names
- Common Thorn Midget
- Species group:
- insect - moth
- Kingdom:
- Animalia
- Order:
- Lepidoptera
- Family:
- Gracillariidae
- Records on NatureSpot:
- 162
- First record:
- 19/07/2011 (Calow, Graham)
- Last record:
- 30/10/2025 (Calow, Graham)
Total records by month
% of records within its species group
10km squares with records
The latest images and records displayed below include those awaiting verification checks so we cannot guarantee that every identification is correct. Once accepted, the record displays a green tick.
In the Latest Records section, click on the header to sort A-Z, and again to sort Z-A. Use the header boxes to filter the list.












