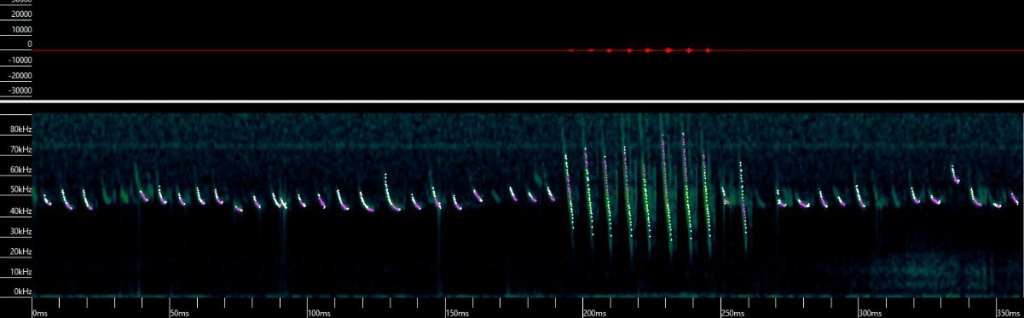
Natterer - Myotis nattereri

Identification difficulty
VC55 Status

Uncommon in Leicestershire and Rutland.

Leicestershire & Rutland Map

MAP KEY:

Yellow squares = NBN records (all known data)
Coloured circles = NatureSpot records: 2025+ | 2020-2024 | pre-2020

UK Map

Species profile

Common names
Natterer's Bat
Species group:
terrestrial mammal
Kingdom:
Animalia
Order:
Chiroptera
Family:
Vespertilionidae
Records on NatureSpot:
12
First record:
26/06/2015 (Partridge, Jools)
Last record:
18/10/2025 (Gleave, Ann)

Total records by month

% of records within its species group

10km squares with records

The latest images and records displayed below include those awaiting verification checks so we cannot guarantee that every identification is correct. Once accepted, the record displays a green tick.

In the Latest Records section, click on the header to sort A-Z, and again to sort Z-A. Use the header boxes to filter the list.

Latest images

Latest records