Iteomyia major
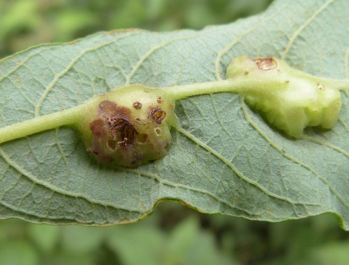
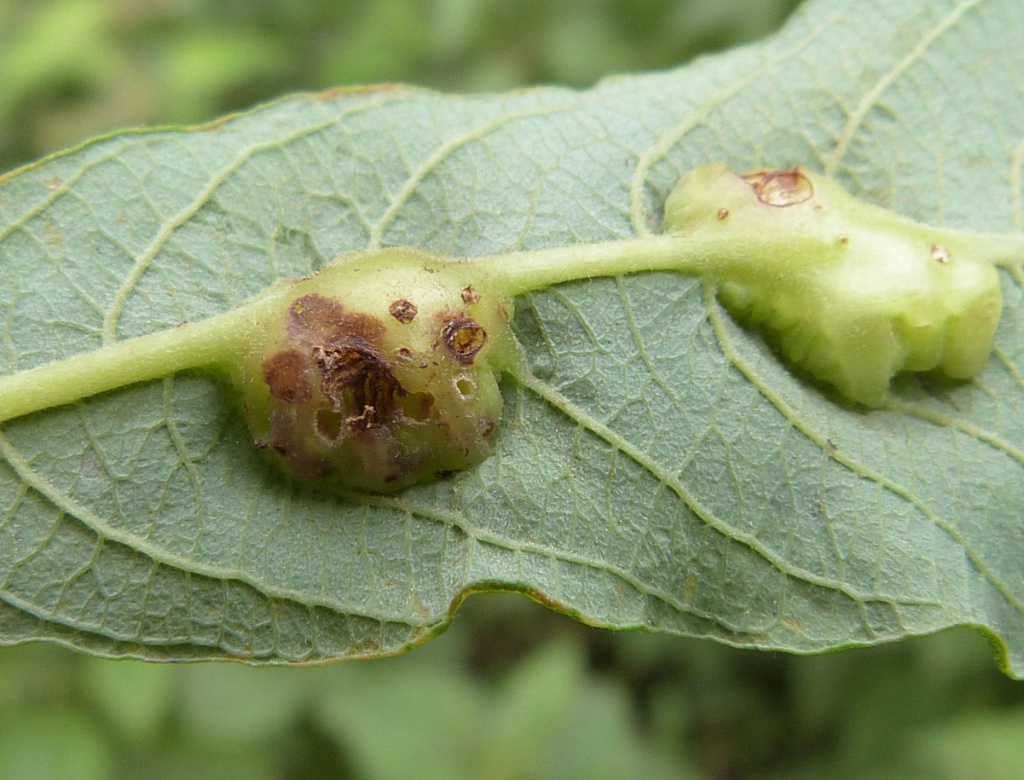
The gall midge Iteomyia major causes galls to form on the leaves of some willows such as Grey Willow and Goat Willow. These take the form of a coalesced group of 2 to 10 hard, round pustules incorporating the midrib and side veins, containing larvae which are white when young but later orange or red.
The sawfly Euura bridgmanii causes similar galls on sallows, but not associated with the midrib
Smaller galls are caused by Iteomyia capreae, Several mites also cause galls on sallows.
Where the host plants (sallows) are found.
Whenever the host willows are in leaf.
Widespread and fairly frequent in Britain.
Frequent in Leicestershire and Rutland
Leicestershire & Rutland Map
Enter a town or village to see local records
MAP KEY:
Yellow squares = NBN records (all known data)
Coloured circles = NatureSpot records: 2025+ | 2020-2024 | pre-2020
UK Map
Species profile
- Species group:
- insect - true fly (Diptera)
- Kingdom:
- Animalia
- Order:
- Diptera
- Family:
- Cecidomyiidae
- Records on NatureSpot:
- 64
- First record:
- 01/07/2016 (Calow, Graham)
- Last record:
- 20/11/2025 (Smith, Peter)
Total records by month
% of records within its species group
10km squares with records
The latest images and records displayed below include those awaiting verification checks so we cannot guarantee that every identification is correct. Once accepted, the record displays a green tick.
In the Latest Records section, click on the header to sort A-Z, and again to sort Z-A. Use the header boxes to filter the list.







