Deadly Nightshade - Atropa belladonna
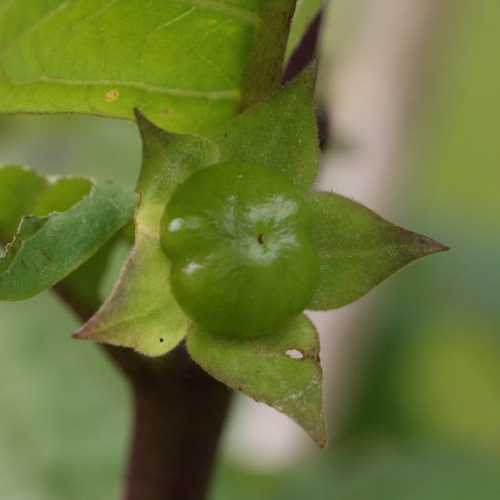
A stout, tall hairless plant, much branched and sometimes reaching 1.5 metres in height. Leaves oval, pointed, short stalked and untoothed. Flowers brownish, purplish or greenish nodding bells, 20 to 30 mm long, solitary at the axils of the upper leaves. Fruit a succulent, globose, shiny berry, black when ripe and surrounded by a persistent starry calyx.
Damp or shaded habitats, waste areas and rocky places.
June to August.
Perennial.
Widespread but quite scarce in Britain, especially north of the Tyne.
Uncommon in Leicestershire and Rutland. In the 1979 Flora survey of Leicestershire it was found in 10 of the 617 tetrads.
Leicestershire & Rutland Map
Enter a town or village to see local records
MAP KEY:
Yellow squares = NBN records (all known data)
Coloured circles = NatureSpot records: 2025+ | 2020-2024 | pre-2020
UK Map
Species profile
- Common names
- Deadly Nightshade
- Species group:
- flowering plant
- Kingdom:
- Plantae
- Order:
- Solanales
- Family:
- Solanaceae
- Records on NatureSpot:
- 68
- First record:
- 22/08/2010 (Smith, Peter)
- Last record:
- 21/10/2025 (Pochin, Christine)
Total records by month
% of records within its species group
10km squares with records
The latest images and records displayed below include those awaiting verification checks so we cannot guarantee that every identification is correct. Once accepted, the record displays a green tick.
In the Latest Records section, click on the header to sort A-Z, and again to sort Z-A. Use the header boxes to filter the list.




























