Criomorphus albomarginatus agg.
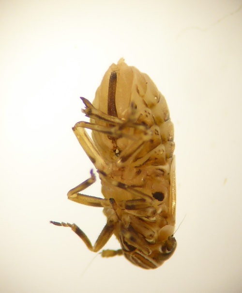
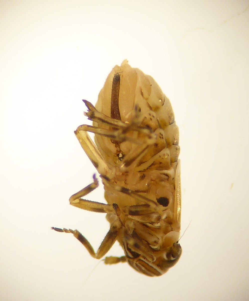
Length 2 to 4 mm. This is a difficult genus and examination of male genitalia is needed to separate the 3 species. Criomorphus albomaginatus has a rear genital segment that is approximately triangular in rear view. The frons (face) has 2 median keels throughout which are white and prominent in C albomarginatus and C williamsi. The forewings have pale tips. Both brachypterous and macropterous forms exist.
There are several similar species; Florodelphax spp. also have white tips to forewings
Can only be verified to species by examination of internal genital structure and external genital segment of males. Photographs from top down, of underside and of face, showing keels, will support ID
A variety of grassland habitats.
April to August.
Criomorphus albomarginatus is Common; C moestus and C williamsi are both Notable B (ref.: UK Auchenorrhyncha checklist 2021)
Occasional, but rarely recorded to species
Leicestershire & Rutland Map
Enter a town or village to see local records
MAP KEY:
Yellow squares = NBN records (all known data)
Coloured circles = NatureSpot records: 2025+ | 2020-2024 | pre-2020
UK Map
Species profile
- Species group:
- insect - true bug (Hemiptera)
- Kingdom:
- Animalia
- Order:
- Hemiptera
- Family:
- Delphacidae
- Records on NatureSpot:
- 4
- First record:
- 26/05/2018 (Higgott, Mike)
- Last record:
- 21/05/2025 (Timms, Sue)
Total records by month
% of records within its species group
10km squares with records
The latest images and records displayed below include those awaiting verification checks so we cannot guarantee that every identification is correct. Once accepted, the record displays a green tick.
In the Latest Records section, click on the header to sort A-Z, and again to sort Z-A. Use the header boxes to filter the list.











