Closterotomus fulvomaculatus
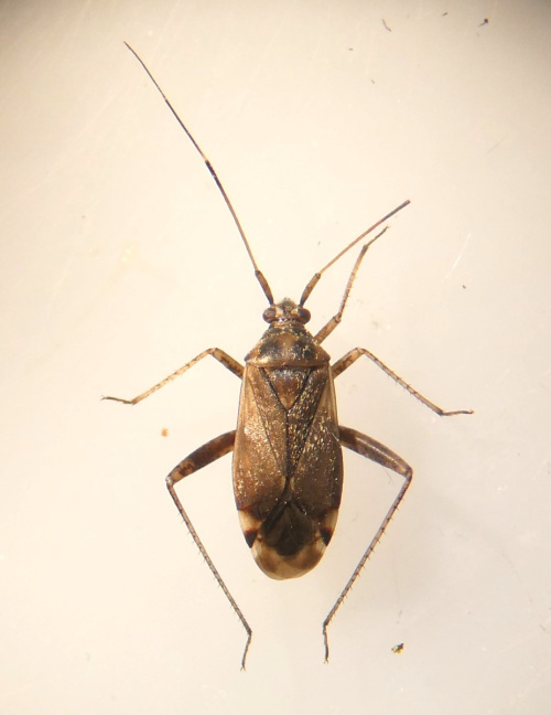
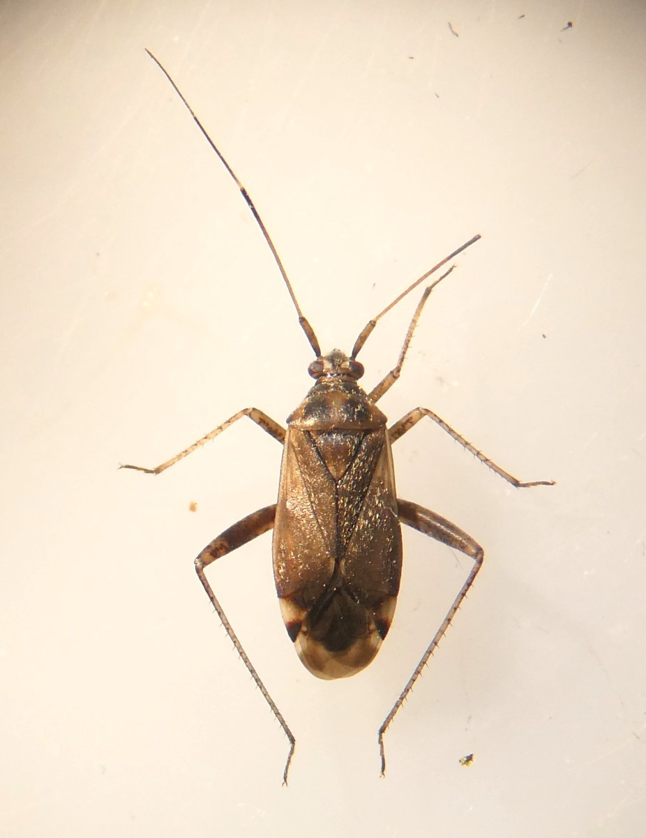
Length 6 to7 mm. A fairly large and mainly brownish plant bug in which the upper surface is covered in flattened golden hairs. Confusion with other species is unlikely.
In hedgerows and low vegetation.
Adult: June-August.
Feeds mainly on Hop, although Nettles and Meadowsweet are also used as foodplants.
Fairly frequent though not really common in Britain, but not well recorded.
Uncommon in Leicestershire and Rutland.
Leicestershire & Rutland Map
Enter a town or village to see local records
MAP KEY:
Yellow squares = NBN records (all known data)
Coloured circles = NatureSpot records: 2025+ | 2020-2024 | pre-2020
UK Map
Species profile
- Species group:
- insect - true bug (Hemiptera)
- Kingdom:
- Animalia
- Order:
- Hemiptera
- Family:
- Miridae
- Records on NatureSpot:
- 12
- First record:
- 28/05/2010 (Nicholls, David)
- Last record:
- 09/07/2025 (Timms, Sue)
Total records by month
% of records within its species group
10km squares with records
The latest images and records displayed below include those awaiting verification checks so we cannot guarantee that every identification is correct. Once accepted, the record displays a green tick.
In the Latest Records section, click on the header to sort A-Z, and again to sort Z-A. Use the header boxes to filter the list.







