Grypocoris stysi
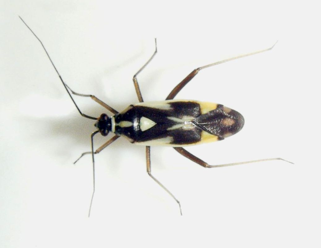
Length 6-8 mm. A conspicuous bug. The chequered pattern of light yellow-white areas and striking orange-yellow cuneus make confusion with other species unlikely.
Usually on Nettles in woodland, and sometimes umbellifers and White Bryony.
Adult: June-August.
Eggs hatch in May and nymphs become adult in June and July, rarely surviving much beyond August. The adults and larvae feed on both flower heads and small invertebrates such as aphids.
Common and found widely throughout Britain.
Common in Leicestershire and Rutland.
Leicestershire & Rutland Map
Enter a town or village to see local records
MAP KEY:
Yellow squares = NBN records (all known data)
Coloured circles = NatureSpot records: 2025+ | 2020-2024 | pre-2020
UK Map
Species profile
- Species group:
- insect - true bug (Hemiptera)
- Kingdom:
- Animalia
- Order:
- Hemiptera
- Family:
- Miridae
- Records on NatureSpot:
- 204
- First record:
- 29/06/2007 (Nicholls, David)
- Last record:
- 30/06/2025 (Edwards, Jo)
Total records by month
% of records within its species group
10km squares with records
The latest images and records displayed below include those awaiting verification checks so we cannot guarantee that every identification is correct. Once accepted, the record displays a green tick.
In the Latest Records section, click on the header to sort A-Z, and again to sort Z-A. Use the header boxes to filter the list.














