Anthocoris gallarum-ulmi
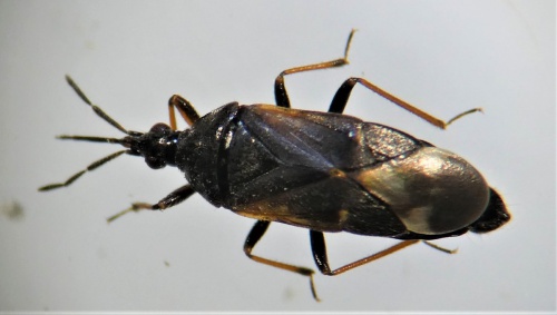
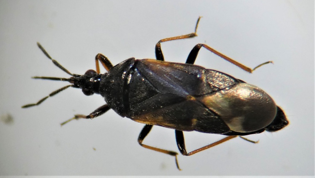
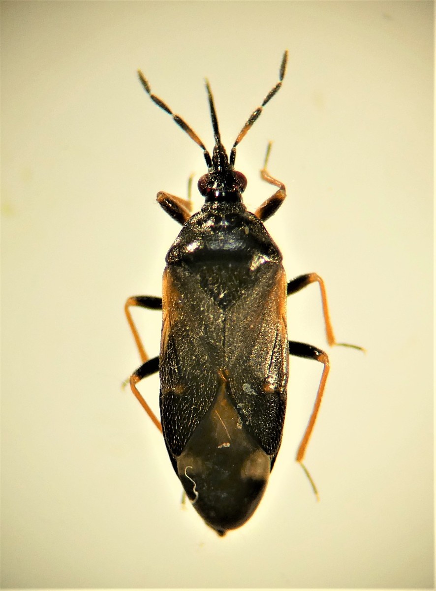
A. gallarum-ulmi is distinguished from other Anthocorids by its shiny hemelytral integuments and the shape of the paramere. Brown-black ground color but pattern variable, sometimes entirely light brown with only the cuneus darkened; membrane bearing 3 more or less confluent white spots. Paramere sickle-shaped, not toothed.
Detailed examination of the specimen is needed to identify this species. A photograph alone is not normally sufficient because key features are not obvious and there are one or more similar species.
Unless identified by a recognised expert, a photo is required and the specimen should be examined with a microscope. In the comments box, state the key or ID method used and describe the size and identifying characters.
Can be found on aphid-galled leaves of Elm species and is a predator of the aphid Eriosoma ulmi. It is also occasionally associated with aphid-leaf galls of Ash, various currant species, Blackthorn and Hawthorn.
Adults from mid-April through to autumn.
Adults thought to overwinter by hibernating under bark scales.
This species seems to be widespread in Britain but not well recorded.
Status in Leicestershire and Rutland not known.
Leicestershire & Rutland Map
Enter a town or village to see local records
MAP KEY:
Yellow squares = NBN records (all known data)
Coloured circles = NatureSpot records: 2025+ | 2020-2024 | pre-2020
UK Map
Species profile
- Species group:
- insect - true bug (Hemiptera)
- Kingdom:
- Animalia
- Order:
- Hemiptera
- Family:
- Anthocoridae
- Records on NatureSpot:
- 6
- First record:
- 22/06/2019 (Timms, Sue)
- Last record:
- 26/08/2023 (Timms, Sue)
Total records by month
% of records within its species group
10km squares with records
The latest images and records displayed below include those awaiting verification checks so we cannot guarantee that every identification is correct. Once accepted, the record displays a green tick.
In the Latest Records section, click on the header to sort A-Z, and again to sort Z-A. Use the header boxes to filter the list.







