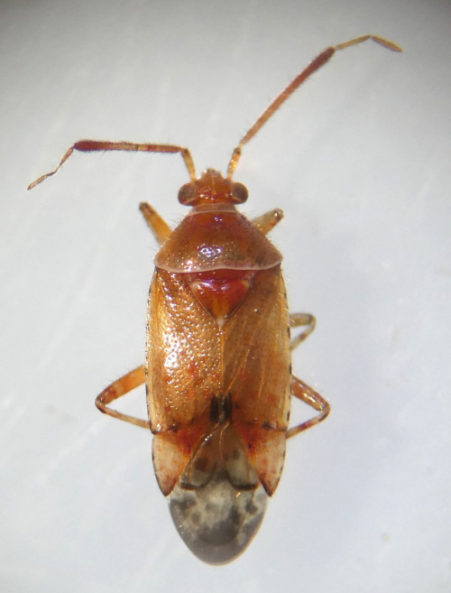
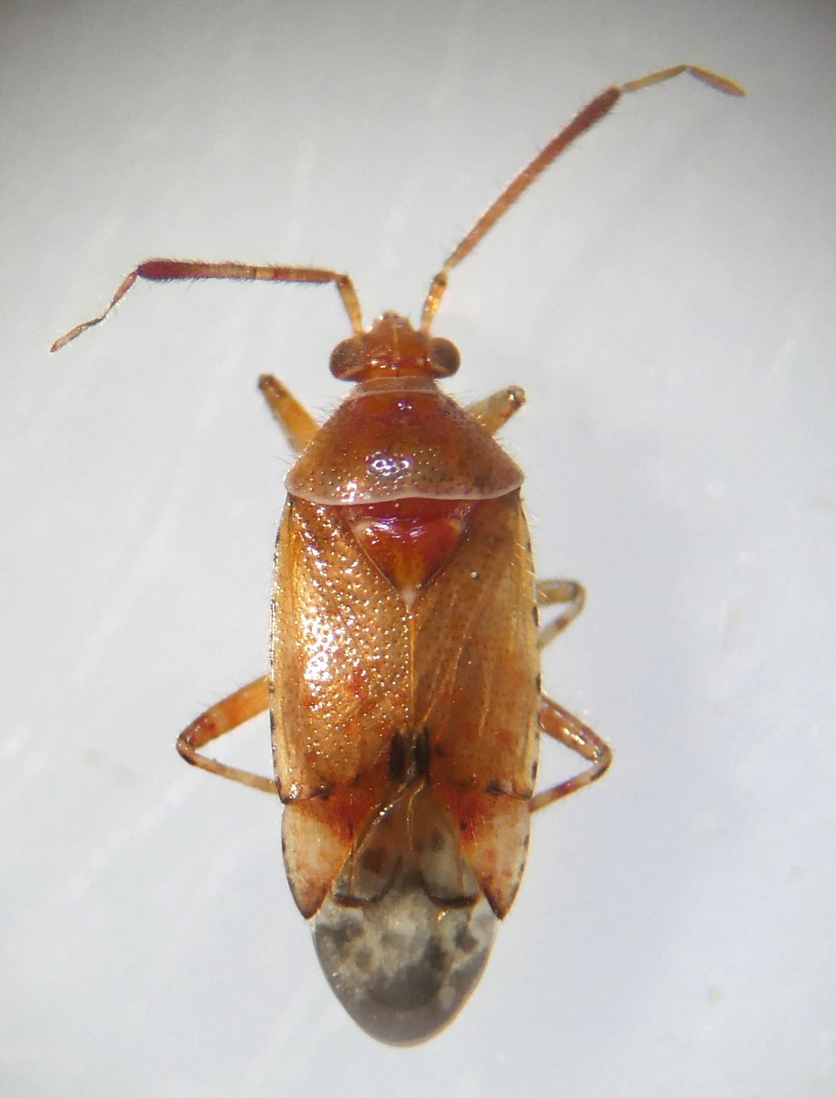
Alloeotomus gothicus
Length 5 to 6 mm. Translucent light brown with orange-brown markings, corium punctures concolorous; membrane dusky, mottled with black; costal rib of corium banded brown & white, hind tarsus T1≈T2+T3.
Detailed photographs showing key features required.
On Scots Pine.
Widely scattered across southern and central England.
Uncommon in Leicestershire and Rutland.
Leicestershire & Rutland Map
Enter a town or village to see local records
MAP KEY:
Yellow squares = NBN records (all known data)
Coloured circles = NatureSpot records: 2025+ | 2020-2024 | pre-2020
UK Map
Species profile
- Species group:
- Bugs
- Kingdom:
- Animalia
- Order:
- Hemiptera
- Family:
- Miridae
- Records on NatureSpot:
- 10
- First record:
- 10/08/2021 (Cann, Alan)
- Last record:
- 25/07/2025 (Cann, Alan)
Total records by month
% of records within its species group
10km squares with records
The latest images and records displayed below include those awaiting verification checks so we cannot guarantee that every identification is correct. Once accepted, the record displays a green tick.
In the Latest Records section, click on the header to sort A-Z, and again to sort Z-A. Use the header boxes to filter the list.






