Aceria cerrea
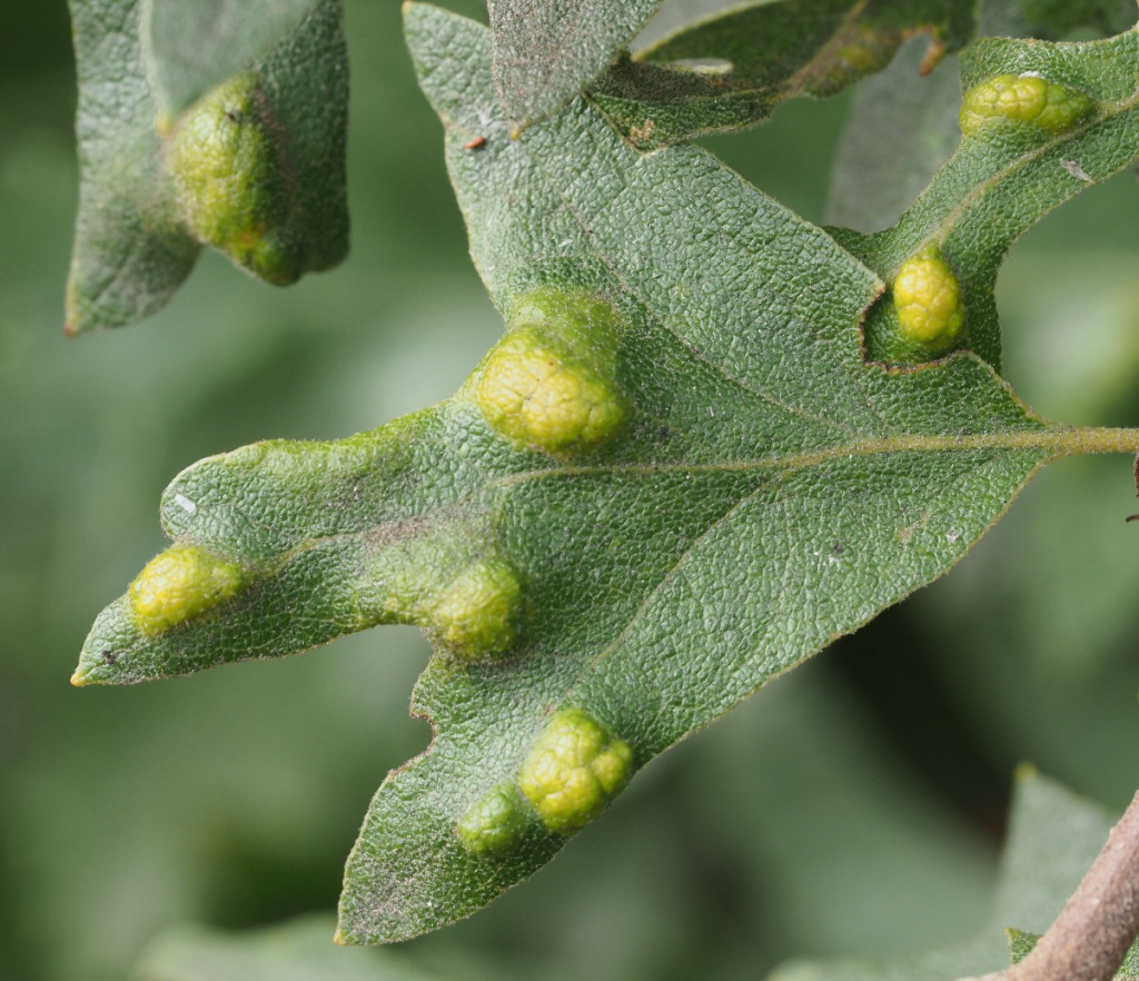
Aceria cerrea mites cause galls on the leaves of Turkey Oak (Quercus cerris). These take the form of blister like bulges with a corresponding depression below which is felted with erineum hairs, some long.
Adult: Unless identified by a recognised expert, a photo is required and the specimen should be examined with a microscope. In the comments box, state the key or ID method used and describe the size and identifying characters.
Gall: Unless identified by a recognised expert, a photo is required. If the photo doesn't show the key ID features then in the comments box describe the size and identifying characters you have observed.
Where Turkey Oak (Quercus cerris) occurs.
Galls can be seen when where Turkey Oak is in leaf.
It seems to be spreading in England and becoming more common.
Rare or rarely recorded in Leicestershire and Rutland.
Leicestershire & Rutland Map
Enter a town or village to see local records
MAP KEY:
Yellow squares = NBN records (all known data)
Coloured circles = NatureSpot records: 2025+ | 2020-2024 | pre-2020
UK Map
Species profile
- Species group:
- Mites, Ticks & Pseudoscorpions
- Kingdom:
- Animalia
- Order:
- Trombidiformes
- Family:
- Eriophyidae
- Records on NatureSpot:
- 12
- First record:
- 11/07/2019 (Timms, Sue)
- Last record:
- 18/10/2025 (Graves, Hazel)
Total records by month
% of records within its species group
10km squares with records
The latest images and records displayed below include those awaiting verification checks so we cannot guarantee that every identification is correct. Once accepted, the record displays a green tick.
In the Latest Records section, click on the header to sort A-Z, and again to sort Z-A. Use the header boxes to filter the list.





