Paralimnus phragmitis
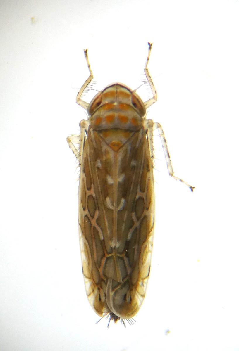
A medium-sized leafhopper, c.5mm, associated with Common Reed Phragmites australis. It has a narrow dark line between the eyes and 4 orange spots on the pronotum. The wing-cells have partly dark edges and there is a dark spot near the wing-tip
Paramesus obtusifrons is similar but associated with coastal marshland
Good quality photographs, and you must note the plant on which you found it
Reedbeds
Notable B (ref.: UK Auchenorrhyncha checklist on British Bugs website)
Rare. The 2024 record is thought to be the first record for VC55
Leicestershire & Rutland Map
Enter a town or village to see local records
MAP KEY:
Yellow squares = NBN records (all known data)
Coloured circles = NatureSpot records: 2025+ | 2020-2024 | pre-2020
UK Map
Species profile
- Species group:
- insect - true bug (Hemiptera)
- Kingdom:
- Animalia
- Order:
- Hemiptera
- Family:
- Cicadellidae
- Records on NatureSpot:
- 2
- First record:
- 20/08/2024 (Timms, Sue)
- Last record:
- 11/09/2025 (Timms, Sue)
Total records by month
% of records within its species group
10km squares with records
The latest images and records displayed below include those awaiting verification checks so we cannot guarantee that every identification is correct. Once accepted, the record displays a green tick.
In the Latest Records section, click on the header to sort A-Z, and again to sort Z-A. Use the header boxes to filter the list.
