Aceria myriadeum
Artacris aceriscampestris
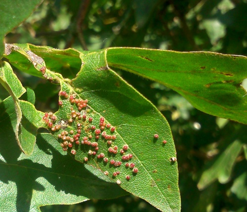
The mite Aceria myriadeum causes small red pustule galls on the upperside of the leaves of Field Maple
Aceria macrochela, also on field maple
Photograph the gall on the leaf, and make sue you have correctly identified and noted the host species.
Field maples
Common
See British Plant Galls (Redfern & Shirley, 2023). Note that this species has been named Aceria aceriscampestris in some sources.
Leicestershire & Rutland Map
Enter a town or village to see local records
MAP KEY:
Yellow squares = NBN records (all known data)
Coloured circles = NatureSpot records: 2025+ | 2020-2024 | pre-2020
UK Map
Species profile
- Species group:
- Mites, Ticks & Pseudoscorpions
- Kingdom:
- Animalia
- Order:
- Trombidiformes
- Family:
- Eriophyidae
- Records on NatureSpot:
- 206
- First record:
- 22/05/2009 (Calow, Graham)
- Last record:
- 29/09/2025 (Calow, Graham)
Total records by month
% of records within its species group
10km squares with records
The latest images and records displayed below include those awaiting verification checks so we cannot guarantee that every identification is correct. Once accepted, the record displays a green tick.
In the Latest Records section, click on the header to sort A-Z, and again to sort Z-A. Use the header boxes to filter the list.
















