Liriomyza congesta
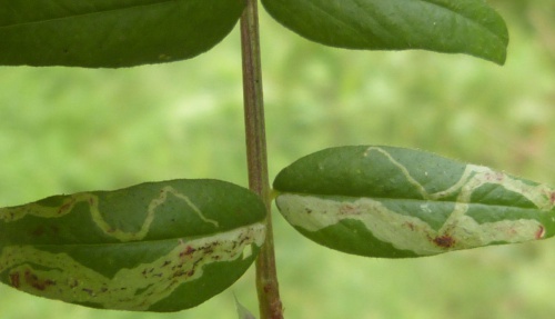
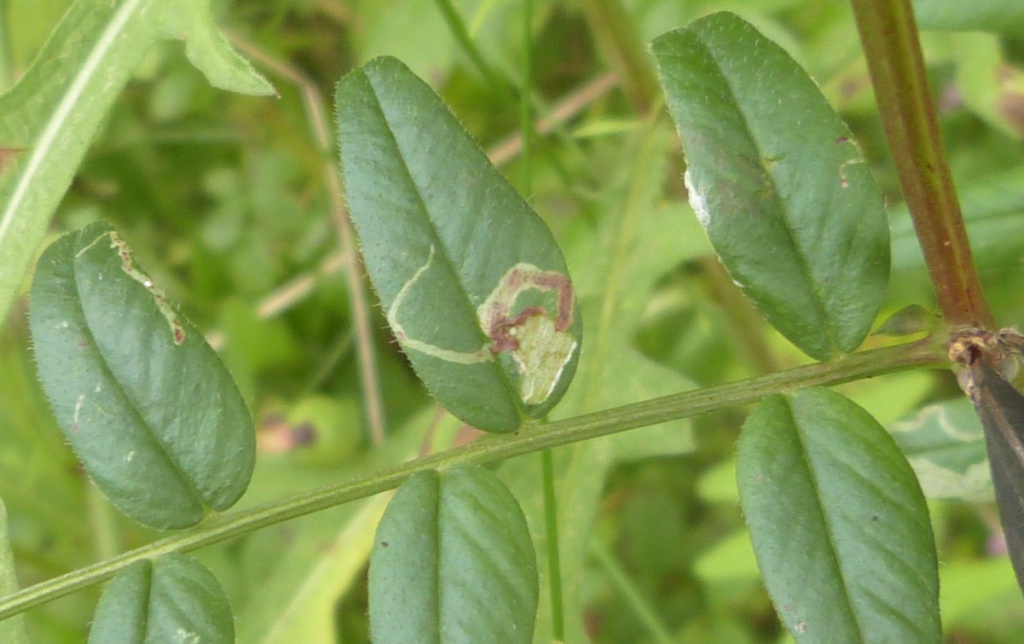
The yellow larvae of the fly Liriomyza congesta mine the leaves of various Legumes such as Peas, Medicks, Lucernes and Vetches. The mine is on the upper surface of the leaf and the frass shows in a green strips.
See the National Agromyzidae Recording Scheme webpage for this species for further details of puparium and adult insect.
Agromyza frontella / Agromyza nana / Liriomyza pisivora / Phytomyza brischkei
ref.: Warrington, B.P. (2023). Liriomyza congesta. Accessed at https://agromyzidae.co.uk/species/agromyzidae/phytomyzinae/liriomyza/li… on 13/12/2023)
Leafmine: Please provide a back-lit image of the leafmine and state the host plant.
Wherever the host plants occur.
Click on the 'further details' link in the 'Description' section above. Then click on the Phenology tab which will provide phenology details for both adult and larval stages.
Leafmines may be found between May and November.
Widespread, but sometimes rather local in Britain.
Warrington, B. P. 2022. A provisional review of the status of Agromyzidae in Great Britain & Northern Ireland
Fairly frequent in Leicestershire and Rutland.
Leicestershire & Rutland Map
Enter a town or village to see local records
MAP KEY:
Yellow squares = NBN records (all known data)
Coloured circles = NatureSpot records: 2025+ | 2020-2024 | pre-2020
UK Map
Species profile
- Species group:
- insect - true fly (Diptera)
- Kingdom:
- Animalia
- Order:
- Diptera
- Family:
- Agromyzidae
- Records on NatureSpot:
- 25
- First record:
- 06/09/2017 (Calow, Graham)
- Last record:
- 31/08/2023 (Timms, Sue)
Total records by month
% of records within its species group
10km squares with records
The latest images and records displayed below include those awaiting verification checks so we cannot guarantee that every identification is correct. Once accepted, the record displays a green tick.
In the Latest Records section, click on the header to sort A-Z, and again to sort Z-A. Use the header boxes to filter the list.













