Phyllocnistis saligna
A tiny, pale coloured moth with a wingspan of about 7 mm.
This species is part of a complex, including Phyllocnistis asiatica, which is not yet fully resolved.
The host should be identified where known; where mines are thought to be on Purple Willow the host must be explicitly confirmed. Photos/details should confirm the morphology of the mine (upper/lower or both surfaces, mine into petiole and stem or just in leaf, mine enters second leaf?). Early stage mines may be inconclusive.
Where smooth-leaved willows are present.
Adult moths are at large in two generations, in July and from September through to April. The overwintering adults are sometimes found in thatch or haystacks. Larval mines are best looked for in June, or in August/September.
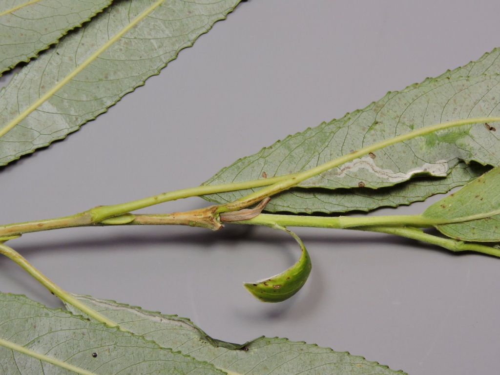
The larva mines the leaves of various smooth-leaved Willows, causing a thin silvery mine like a snail-trail in the upper epidermis of the leaf, and contuning down the twig to mine another leaf. Pupation is under a leaf-fold at the edge of a leaf.
P. saligna has been shown to be a complex of several species, and it is likely that most (all?) VC55 records are actually referable to P. asiatica. The status of both species is under review, via both host species and mine morphology, along with DNA analysis. In the meantime, records entered as P. saligna where no dissection of an adult female has been completed are considered to be P. saligna/asiatica agg., and will be re-determined as such if/when a UKSI species code is created for this purpose.
Phyllocnistis saligna is in fact a complex of four species, recently discovered by DNA analysis. P asiatica is the species recorded on White Willow and Crack Willow. P saligna is the species recorded on Purple Willow. VC55 records where the host species is known are likely to be P asiatica. See Edmunds, R. & Plant, C. (2023) Phyllocnistis saligna (Zeller, 1839) (Lep.: Phyllocnistinae) is a complex of species. Which of these occur in the UK?. British Leafminers 43 1-2. http://www.leafmines.co.uk/pdfs/newsletter%2043.pdf:
Leicestershire & Rutland Map
Enter a town or village to see local records
MAP KEY:
Yellow squares = NBN records (all known data)
Coloured circles = NatureSpot records: 2025+ | 2020-2024 | pre-2020
UK Map
Species profile
- Common names
- Willow Bent-wing
- Species group:
- insect - moth
- Kingdom:
- Animalia
- Order:
- Lepidoptera
- Family:
- Gracillariidae
- Records on NatureSpot:
- 58
- First record:
- 19/08/2017 (Skevington, Mark)
- Last record:
- 30/10/2025 (Calow, Graham)
Total records by month
% of records within its species group
10km squares with records
The latest images and records displayed below include those awaiting verification checks so we cannot guarantee that every identification is correct. Once accepted, the record displays a green tick.
In the Latest Records section, click on the header to sort A-Z, and again to sort Z-A. Use the header boxes to filter the list.



