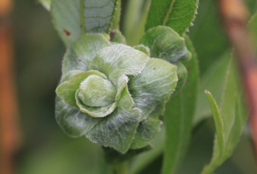
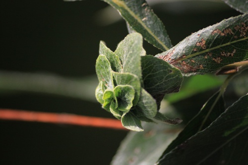
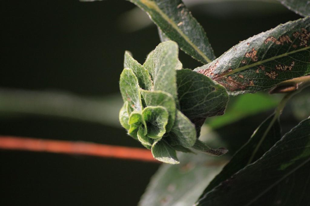
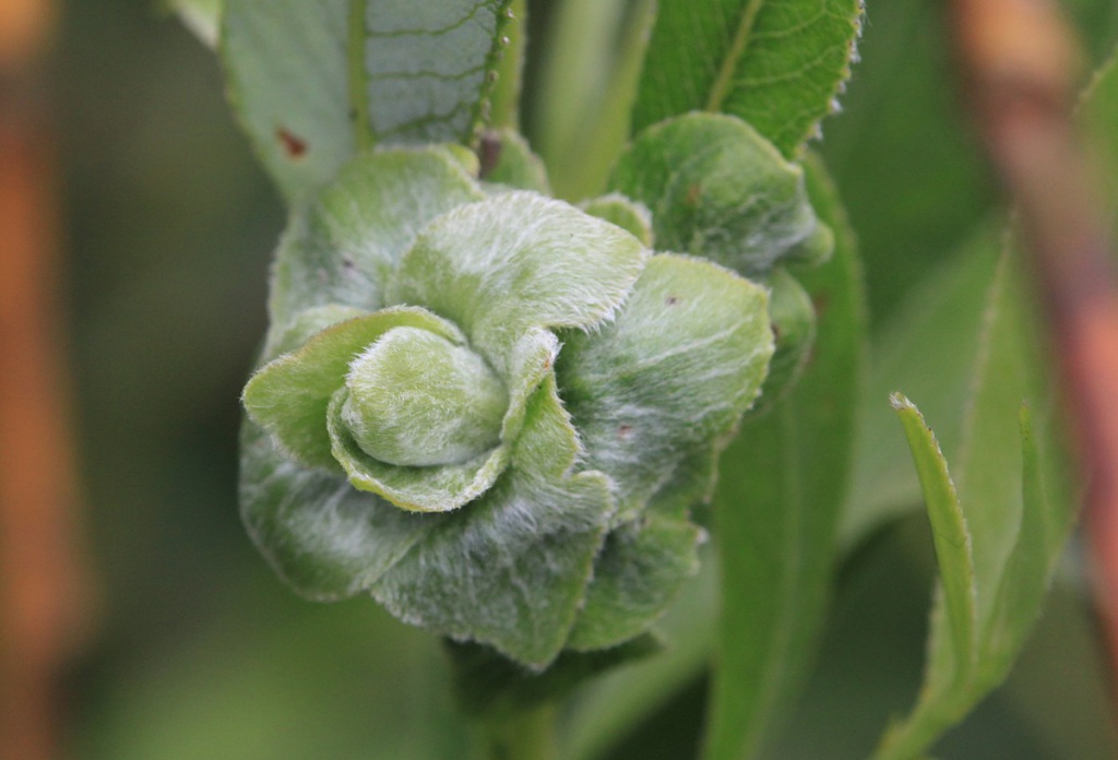
Rabdophaga rosaria - Rabdophaga strobilina / rosaria agg.
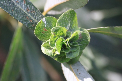
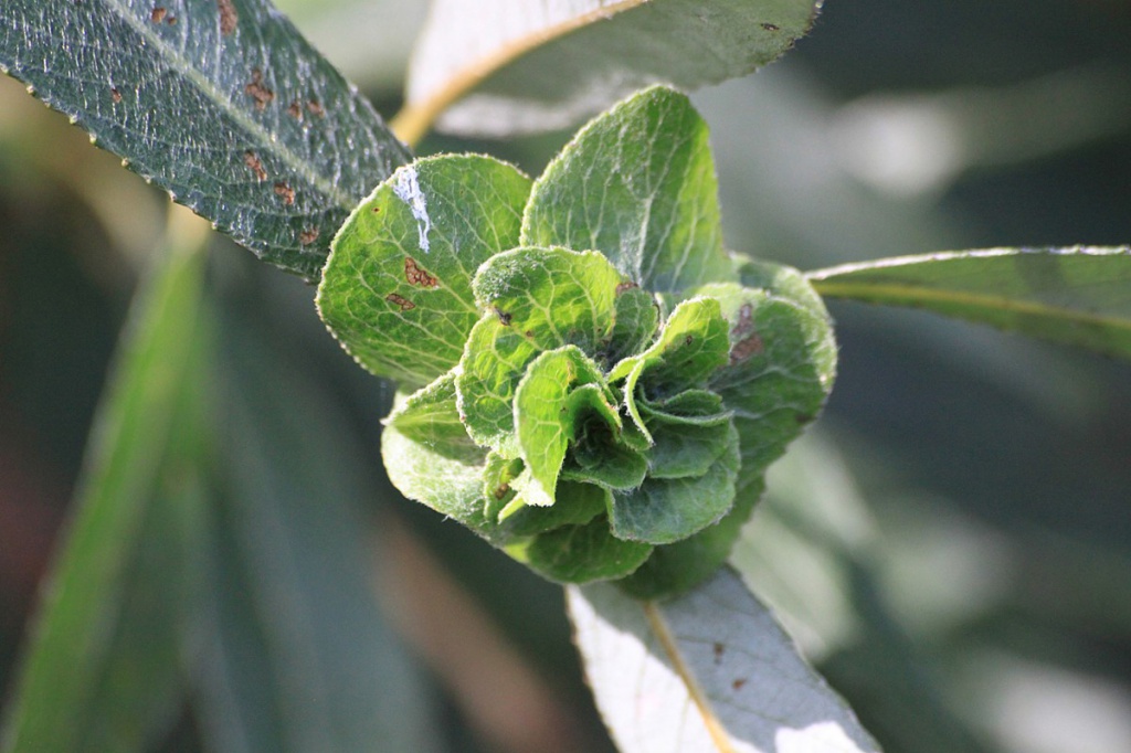
The midge larvae of Rabdophaga strobilina / rosaria agg. cause a conspicuous rosette shaped gall to form in the terminal bud of various willows especially White Willow. Often more than 20 mm across the gall has a central chamber which contains a pink or red larva. The galls often remain on the host plant through winter.
There are likely to be several similar species galling different Salix host species, but this is not yet established (ref. Redfern and Shirley (2011)
Please accurately identify the species of host plant in your comments; this may help to determine it to the species in the future. See https://www.naturespot.org/family/salicaceae for guidanne on identifying willows and sallows.
On various Willow and Sallow species
Late summer and early autumn.
Widespread and probably fairly frequent in Britain, but under recorded.
Seems to be becoming increasingly frequent in Leicestershire and Rutland. The gall recorded at Melton Country Park on 10th September 2014 is believed to be the first record for VC55.
Leicestershire & Rutland Map
Enter a town or village to see local records
MAP KEY:
Yellow squares = NBN records (all known data)
Coloured circles = NatureSpot records: 2025+ | 2020-2024 | pre-2020
UK Map
Species profile
- Species group:
- acarine (Acari)
- Kingdom:
- Animalia
- Order:
- Diptera
- Family:
- Cecidomyiidae
- Records on NatureSpot:
- 2
- First record:
- 08/08/2022 (lemmon, roy)
- Last record:
- 23/06/2025 (lemmon, roy)
Total records by month
% of records within its species group
10km squares with records
The latest images and records displayed below include those awaiting verification checks so we cannot guarantee that every identification is correct. Once accepted, the record displays a green tick.
In the Latest Records section, click on the header to sort A-Z, and again to sort Z-A. Use the header boxes to filter the list.














